Ptilocnemus lemur (Westwood, 1840) is a animal in the Reduviidae family, order Hemiptera, kingdom Animalia. Not known to be toxic.

Photo of Ptilocnemus lemur (Westwood, 1840) (Ptilocnemus lemur (Westwood, 1840))
🦋 Animalia

Ptilocnemus lemur (Westwood, 1840)

Ptilocnemus lemur (Westwood, 1840)

Ptilocnemus lemur is a moderate-sized Australian forest assassin bug with distinctive leg and coloration traits.

Family
Genus
Ptilocnemus
Order
Hemiptera
Class
Insecta

About Ptilocnemus lemur (Westwood, 1840)

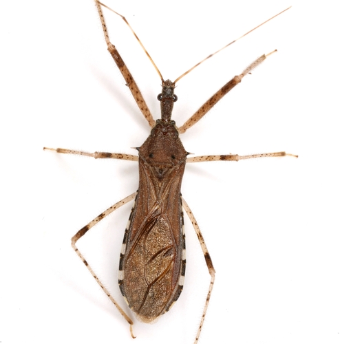
Ptilocnemus lemur (Westwood, 1840) is a moderately sized assassin bug. It has a small head with a pair of three-segmented feathery antennae, a large down-curving proboscis, a wide thorax, and a moderately broad abdomen. Its wings have three veins. The hind pair of legs is much larger than the front and middle pairs, and the hind tibiae are densely covered in bristles. The head and thorax are yellowish-brown, while the abdomen is mottled grey and black. This species is native to Australia, where it inhabits forests. It can be found on tree trunks, and its drab coloration provides camouflage against tree bark.

Photo: (c) Reiner Richter, some rights reserved (CC BY-NC-SA), uploaded by Reiner Richter · cc-by-nc-sa

Taxonomy

Animalia Arthropoda Insecta Hemiptera Reduviidae Ptilocnemus

More from Reduviidae

Sources: GBIF, iNaturalist, Wikipedia, NCBI Taxonomy · Disclaimer

Identify Ptilocnemus lemur (Westwood, 1840) instantly — even offline

iNature uses on-device AI to identify plants, animals, fungi and more. No internet needed.

Download iNature — Free

Start Exploring Nature Today

Download iNature for free. 10 identifications on us. No account needed. No credit card required.

Download Free on App Store