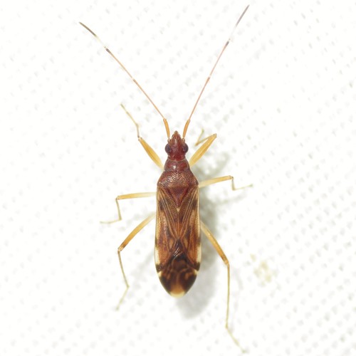
Pseudopachybrachius vinctus (Say, 1831) is a animal in the Rhyparochromidae family, order Hemiptera, kingdom Animalia. Not known to be toxic.

Photo of Pseudopachybrachius vinctus (Say, 1831) (Pseudopachybrachius vinctus (Say, 1831))
🦋 Animalia

Pseudopachybrachius vinctus (Say, 1831)

Pseudopachybrachius vinctus (Say, 1831)

Pseudopachybrachius vinctus is a dirt-colored seed bug in Rhyparochromidae found across the Americas, the Caribbean, and Oceania.

Genus
Pseudopachybrachius
Order
Hemiptera
Class
Insecta

About Pseudopachybrachius vinctus (Say, 1831)

Pseudopachybrachius vinctus is a species of dirt-colored seed bug that belongs to the family Rhyparochromidae. This species can be found in the Caribbean, Central America, North America, Oceania, and South America.

Photo: (c) Mike Quinn, San Marcos, some rights reserved (CC BY-NC), uploaded by Mike Quinn, San Marcos · cc-by-nc

Taxonomy

Animalia Arthropoda Insecta Hemiptera Rhyparochromidae Pseudopachybrachius

More from Rhyparochromidae

Sources: GBIF, iNaturalist, Wikipedia, NCBI Taxonomy · Disclaimer

Identify Pseudopachybrachius vinctus (Say, 1831) instantly — even offline

iNature uses on-device AI to identify plants, animals, fungi and more. No internet needed.

Download iNature — Free

Start Exploring Nature Today

Download iNature for free. 10 identifications on us. No account needed. No credit card required.

Download Free on App Store