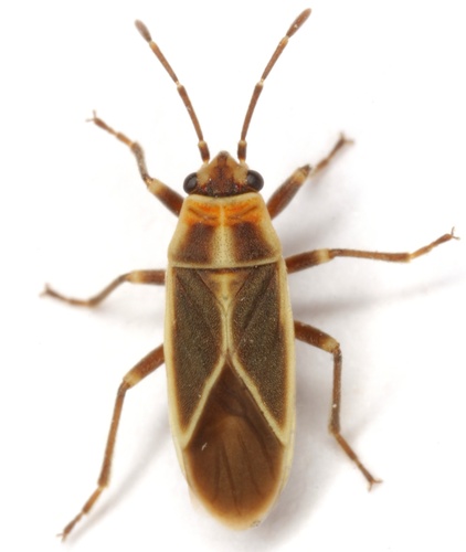
Oncopeltus zonatus (Erichson, 1848) is a animal in the Lygaeidae family, order Hemiptera, kingdom Animalia. Not known to be toxic.

Photo of Oncopeltus zonatus (Erichson, 1848) (Oncopeltus zonatus (Erichson, 1848))
🦋 Animalia

Oncopeltus zonatus (Erichson, 1848)

Oncopeltus zonatus (Erichson, 1848)

Oncopeltus zonatus is a terrestrial Neotropical seed bug in Lygaeidae with three known host plants.

Family
Genus
Oncopeltus
Order
Hemiptera
Class
Insecta

About Oncopeltus zonatus (Erichson, 1848)

Oncopeltus zonatus (Erichson, 1848) is a species of seed bug that belongs to the family Lygaeidae. This terrestrial species is found in the Neotropical region, specifically in Guiana, Peru, and Chile. The three known host plants for Oncopeltus zonatus are Asclepias curassavica, Funastrum clausum, and Nerium oleander.

Photo: (c) Matt Wallace, all rights reserved, uploaded by Matt Wallace

Taxonomy

Animalia Arthropoda Insecta Hemiptera Lygaeidae Oncopeltus

More from Lygaeidae

Sources: GBIF, iNaturalist, Wikipedia, NCBI Taxonomy · Disclaimer

Identify Oncopeltus zonatus (Erichson, 1848) instantly — even offline

iNature uses on-device AI to identify plants, animals, fungi and more. No internet needed.

Download iNature — Free

Start Exploring Nature Today

Download iNature for free. 10 identifications on us. No account needed. No credit card required.

Download Free on App Store