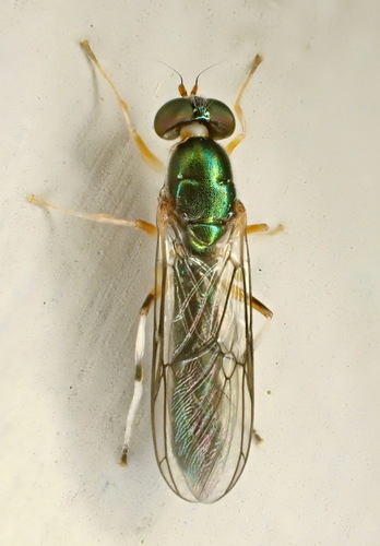
Odontomyia ornata Macquart, 1826 is a animal in the Stratiomyidae family, order Diptera, kingdom Animalia. Not known to be toxic.

Photo of Odontomyia ornata Macquart, 1826 (Odontomyia ornata Macquart, 1826)
🦋 Animalia

Odontomyia ornata Macquart, 1826

Odontomyia ornata Macquart, 1826

Odontomyia ornata (ornate brigadier) is a species of soldier fly with a broad distribution across Europe and Western/Central Asia.

Family
Genus
Odontomyia
Order
Diptera
Class
Insecta

About Odontomyia ornata Macquart, 1826

Odontomyia ornata, described by Macquart in 1826, is commonly known by the common name ornate brigadier. It is a species of soldier fly that is found across Europe and parts of Western and Central Asia. This species has been recorded in the following locations: Austria, Belgium, Bulgaria, the Czech Republic, Denmark, England, France, Germany, Hungary, Israel, Italy, Kazakhstan, Lithuania, the Netherlands, Poland, Romania, Russia, Scotland, Slovakia, Spain, Sweden, Switzerland, Syria, Turkey, and Yugoslavia.

Photo: (c) Mateusz Sowiński, some rights reserved (CC BY-NC), uploaded by Mateusz Sowiński · cc-by-nc

Taxonomy

Animalia Arthropoda Insecta Diptera Stratiomyidae Odontomyia

More from Stratiomyidae

Sources: GBIF, iNaturalist, Wikipedia, NCBI Taxonomy · Disclaimer

Identify Odontomyia ornata Macquart, 1826 instantly — even offline

iNature uses on-device AI to identify plants, animals, fungi and more. No internet needed.

Download iNature — Free

Start Exploring Nature Today

Download iNature for free. 10 identifications on us. No account needed. No credit card required.

Download Free on App Store