Nabidae

🔍 How to identify Nabidae →
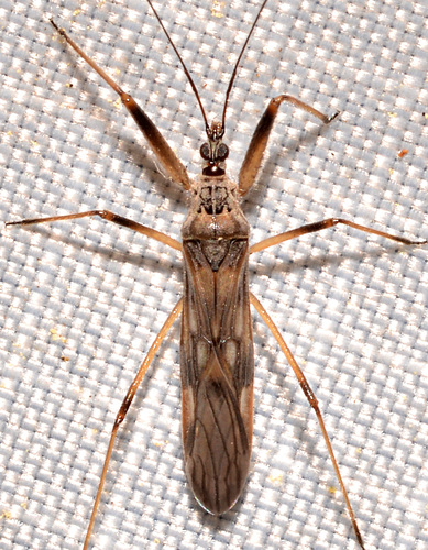
Animalia Arthropoda Insecta Hemiptera Nabidae
Himacerus major (A.Costa, 1842)

Himacerus major (A.Costa, 1842)

Himacerus major (A.Costa, 1842)

Himacerus major is a Holarctic damsel bug in the Nabidae family that lives in grassy habitats and overwinters as eggs.

Himacerus mirmicoides (O.Costa, 1834)

Himacerus mirmicoides (O.Costa, 1834)

Himacerus mirmicoides (O.Costa, 1834)

Himacerus mirmicoides is an ant-mimicking bug species found across most of Europe in dry open areas.

Himacerus apterus (J.C.Fabricius, 1798)

Himacerus apterus (J.C.Fabricius, 1798)

Himacerus apterus (J.C.Fabricius, 1798)

Himacerus apterus is a bug species found across Europe, Asia, and historically eastern Nova Scotia, with distinct coloration and seasonal life stages.

Nabis limbatus Dahlbom, 1851

Nabis limbatus Dahlbom, 1851

Nabis limbatus Dahlbom, 1851

Nabis limbatus is a Eurasian generalist predatory damsel bug also introduced to Canada.

Nabis flavomarginatus Scholtz, 1847

Nabis flavomarginatus Scholtz, 1847

Nabis flavomarginatus Scholtz, 1847

Nabis flavomarginatus is a Holarctic species of damsel bug found in specific open wet cold habitats.

Nabis roseipennis Reuter, 1872

Nabis roseipennis Reuter, 1872

Nabis roseipennis Reuter, 1872

Nabis roseipennis is a damsel bug species in the Nabidae family found in North America.

Nabis rufusculus Reuter, 1872

Nabis rufusculus Reuter, 1872

Nabis rufusculus Reuter, 1872

Nabis rufusculus Reuter, 1872 is a damsel bug species in the Nabidae family found in North America.

Nabis americoferus Carayon, 1961

Nabis americoferus Carayon, 1961

Nabis americoferus Carayon, 1961

Nabis americoferus, the common damsel bug, is a Nabidae family damsel bug found in Central and North America.

Nabis capsiformis Germar, 1838

Nabis capsiformis Germar, 1838

Nabis capsiformis Germar, 1838

Nabis capsiformis, the pale damsel bug, is a damsel bug species in the Nabidae family found across multiple world regions.

Lasiomerus annulatus (Reuter, 1872)

Lasiomerus annulatus (Reuter, 1872)

Lasiomerus annulatus (Reuter, 1872)

Lasiomerus annulatus is a damsel bug species in the Nabidae family, found in North America.

Metatropiphorus belfragii Reuter, 1872

Metatropiphorus belfragii Reuter, 1872

Metatropiphorus belfragii Reuter, 1872

Metatropiphorus belfragii is a damsel bug species in the Nabidae family, found in the Caribbean and North America.

Related Families

Start Exploring Nature Today

Download iNature for free. 10 identifications on us. No account needed. No credit card required.

Download Free on App Store