Limoniidae

🔍 How to identify Limoniidae →
Animalia Arthropoda Insecta Diptera Limoniidae
Epiphragma solatrix (Osten Sacken, 1860)

Epiphragma solatrix (Osten Sacken, 1860)

Epiphragma solatrix (Osten Sacken, 1860)

Epiphragma solatrix is a limoniid crane fly ranging from the US to the Neotropics, whose larvae live and feed on wood.

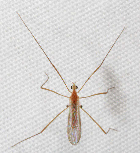
Epiphragma fasciapenne (Say, 1823)

Epiphragma fasciapenne (Say, 1823)

Epiphragma fasciapenne (Say, 1823)

Epiphragma fasciapenne is a species of limoniid crane fly that belongs to the family Limoniidae.

Pseudolimnophila luteipennis (Osten Sacken, 1860)

Pseudolimnophila luteipennis (Osten Sacken, 1860)

Pseudolimnophila luteipennis (Osten Sacken, 1860)

Pseudolimnophila luteipennis is a species of limoniid crane fly in the family Limoniidae.

Amphineurus hudsoni Edwards, 1923

Amphineurus hudsoni Edwards, 1923

Amphineurus hudsoni Edwards, 1923

Amphineurus hudsoni is an endemic insect species of New Zealand, first described by Edwards in 1923 with distinct physical features.

Gnophomyia tristissima Osten Sacken, 1860

Gnophomyia tristissima Osten Sacken, 1860

Gnophomyia tristissima Osten Sacken, 1860

Gnophomyia tristissima is an all-black limoniid crane fly with yellow halteres in the family Limoniidae.

Erioptera septemtrionis Osten Sacken, 1860

Erioptera septemtrionis Osten Sacken, 1860

Erioptera septemtrionis Osten Sacken, 1860

Erioptera septemtrionis is a species of limoniid crane fly in the family Limoniidae, whose name means "Northern" in Latin.

Toxorhina magna Osten Sacken, 1865

Toxorhina magna Osten Sacken, 1865

Toxorhina magna Osten Sacken, 1865

Toxorhina magna is a limoniid crane fly species found in the eastern United States, identifiable by its yellowish brown color.

Eugnophomyia luctuosa (Osten Sacken, 1860)

Eugnophomyia luctuosa (Osten Sacken, 1860)

Eugnophomyia luctuosa (Osten Sacken, 1860)

Eugnophomyia luctuosa is a species of limoniid crane fly in the order Diptera.

Symplecta pilipes (Fabricius, 1787)

Symplecta pilipes (Fabricius, 1787)

Symplecta pilipes (Fabricius, 1787)

Symplecta pilipes is a Palearctic cranefly species of Limoniidae found in a variety of moist, humus-rich habitats.

Cladura flavoferruginea Osten Sacken, 1860

Cladura flavoferruginea Osten Sacken, 1860

Cladura flavoferruginea Osten Sacken, 1860

Cladura flavoferruginea is a species of limoniid crane fly in the family Limoniidae.

Dicranomyia aegrotans Edwards, 1923

Dicranomyia aegrotans Edwards, 1923

Dicranomyia aegrotans Edwards, 1923

Dicranomyia aegrotans is a crane fly species described from a female specimen, found across New Zealand and the Kermadec Islands.

Limonia nubeculosa Meigen, 1804

Limonia nubeculosa Meigen, 1804

Limonia nubeculosa Meigen, 1804

Limonia nubeculosa is a European forest fly with distinct body markings that may aestivate in caves.

Limonia phragmitidis (Schrank, 1781)

Limonia phragmitidis (Schrank, 1781)

Limonia phragmitidis (Schrank, 1781)

Limonia phragmitidis is a Palearctic cranefly species in Limoniidae that lives in many moist, humus-rich habitats.

Limonia nigropunctata (Schummel, 1829)

Limonia nigropunctata (Schummel, 1829)

Limonia nigropunctata (Schummel, 1829)

Limonia nigropunctata is a fly species in genus Limonia, first described by Theodor Emil Schummel in 1829.

Rhipidia maculata Meigen, 1818

Rhipidia maculata Meigen, 1818

Rhipidia maculata Meigen, 1818

Rhipidia maculata is a Palearctic Limoniidae crane fly found in multiple wet and organic-rich habitats.

Rhipidia domestica Osten Sacken, 1860

Rhipidia domestica Osten Sacken, 1860

Rhipidia domestica Osten Sacken, 1860

Rhipidia domestica is a crane fly species in the family Limoniidae found across the Americas.

Related Families

Start Exploring Nature Today

Download iNature for free. 10 identifications on us. No account needed. No credit card required.

Download Free on App Store