Delphacidae

🔍 How to identify Delphacidae →
Animalia Arthropoda Insecta Hemiptera Delphacidae
Sogatella furcifera (Horváth, 1899)

Sogatella furcifera (Horváth, 1899)

Sogatella furcifera (Horváth, 1899)

Sogatella furcifera, the white-backed planthopper, is a delphacid planthopper that is a rice and sorghum pest in Asia and the Middle East.

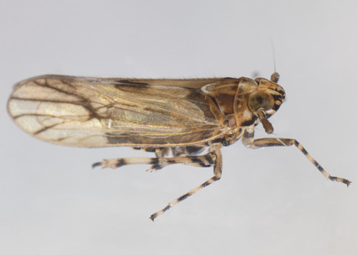
Pissonotus flabellatus (Ball, 1903)

Pissonotus flabellatus (Ball, 1903)

Pissonotus flabellatus (Ball, 1903)

Pissonotus flabellatus is a delphacid planthopper species found in North America.

Pissonotus brunneus Van Duzee, 1897

Pissonotus brunneus Van Duzee, 1897

Pissonotus brunneus Van Duzee, 1897

Pissonotus brunneus is a delphacid planthopper species found in Central and North America.

Nothodelphax slossonae (Ball, 1903)

Nothodelphax slossonae (Ball, 1903)

Nothodelphax slossonae (Ball, 1903)

Nothodelphax slossonae is a delphacid planthopper found in the Caribbean, Central America, and North America.

Peregrinus maidis (Ashmead, 1890)

Peregrinus maidis (Ashmead, 1890)

Peregrinus maidis (Ashmead, 1890)

Peregrinus maidis is an oligophagous planthopper with temperature-dependent development and two environmentally determined adult wing morphs.

Megamelus davisi Van Duzee, 1897

Megamelus davisi Van Duzee, 1897

Megamelus davisi Van Duzee, 1897

Megamelus davisi is a delphacid planthopper species in Delphacidae found in North America and Oceania.

Megamelus palaetus (Van Duzee, 1897)

Megamelus palaetus (Van Duzee, 1897)

Megamelus palaetus (Van Duzee, 1897)

Megamelus palaetus is a species of delphacid planthopper in Delphacidae found in North America.

Perkinsiella saccharicida Kirkaldy, 1903

Perkinsiella saccharicida Kirkaldy, 1903

Perkinsiella saccharicida Kirkaldy, 1903

Perkinsiella saccharicida is a delphacid planthopper with multiple sugarcane-related common names, found across several world regions.

Javesella pellucida (Fabricius, 1794)

Javesella pellucida (Fabricius, 1794)

Javesella pellucida (Fabricius, 1794)

Javesella pellucida is a Delphacidae insect species found across multiple regions, feeding on Oryza sativa and Lolium multiflorum.

Laodelphax striatellus (Fallén, 1826)

Laodelphax striatellus (Fallén, 1826)

Laodelphax striatellus (Fallén, 1826)

Laodelphax striatellus, the small brown planthopper, is a virus-transmitting true bug native to Eurasia and Northern Africa.

Muellerianella laminalis (Van Duzee, 1897)

Muellerianella laminalis (Van Duzee, 1897)

Muellerianella laminalis (Van Duzee, 1897)

Muellerianella laminalis is a delphacid planthopper species found in the Caribbean and North America.

Saccharosydne saccharivora (Westwood, 1833)

Saccharosydne saccharivora (Westwood, 1833)

Saccharosydne saccharivora (Westwood, 1833)

Saccharosydne saccharivora is a delphacid planthopper found across the Americas and Oceania.

Related Families

Start Exploring Nature Today

Download iNature for free. 10 identifications on us. No account needed. No credit card required.

Download Free on App Store