About Cantharis tuberculata (LeConte, 1851)
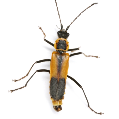
Cantharis tuberculata is a species of soldier beetle that belongs to the family Cantharidae. This species is found in North America.
Cantharis tuberculata (LeConte, 1851) is a animal in the Cantharidae family, order Coleoptera, kingdom Animalia. Not known to be toxic.
Cantharis tuberculata (LeConte, 1851)
Cantharis tuberculata is a species of soldier beetle in the Cantharidae family found in North America.
Cantharis tuberculata is a species of soldier beetle that belongs to the family Cantharidae. This species is found in North America.
Photo: (c) Bill Keim, some rights reserved (CC BY) · cc-by
Chauliognathus limbicollis LeConte, 1858
Podabrus brevicollis Fall, 1927
Podabrus rugosulus LeConte, 1850
Rhagonycha fulva (Scopoli, 1763)
Podabrus flavicollis LeConte, 1851
Atalantycha bilineata (Say, 1823)
Sources: GBIF, iNaturalist, Wikipedia, NCBI Taxonomy · Disclaimer
Identify Cantharis tuberculata (LeConte, 1851) instantly — even offline
iNature uses on-device AI to identify plants, animals, fungi and more. No internet needed.
Download iNature — FreeDownload iNature for free. 10 identifications on us. No account needed. No credit card required.
Download Free on App Store